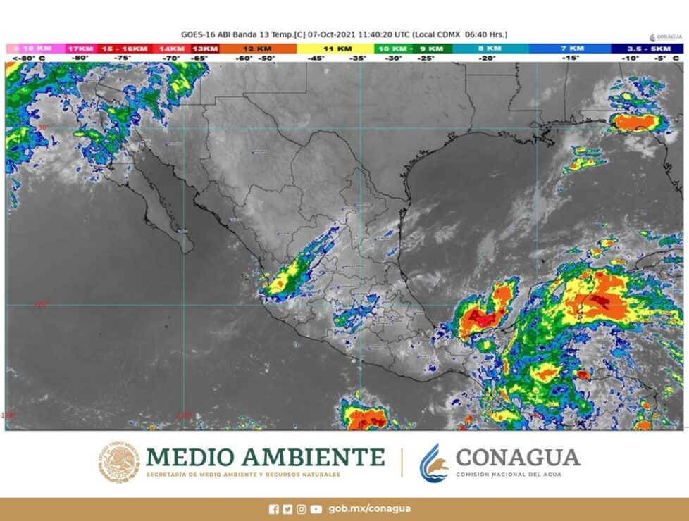
Clima: Se prevén lluvias fuertes para hoy jueves en Quintana Roo. Para este día, el frente número 2 se encontrará estacionario sobre el sureste de México, y en interacción con la onda tropical número 35 provocará lluvias torrenciales (de 150 a 250 milímetros [mm]) en Campeche, Chiapas, Tabasco y el sur de Veracruz; intensas (de 75 a 150 mm) en Oaxaca, y muy fuertes (de 50 a 75 mm) en Quintana Roo y Yucatán.
A su vez, un canal de baja presión que se extenderá en el occidente, centro y sur de la República Mexicana, humedad proveniente del Océano Pacífico e inestabilidad en la parte alta de la atmósfera, generarán lluvias fuertes (de 25 a 50 mm) en Guerrero y Jalisco; chubascos (de 5 a 25 mm) en la Ciudad de México, Colima, Estado de México, Michoacán, Morelos y Puebla, y lluvias aisladas (de 0.1 a 5 mm) en Nayarit y Tlaxcala.
Dichas precipitaciones podrían acompañarse de descargas eléctricas, y se prevén condiciones para la caída de granizo en Campeche, Chiapas, Ciudad de México, Colima, Estado de México, Jalisco, Michoacán, Oaxaca, Quintana Roo, Tabasco y Yucatán.

Clima: Se prevén lluvias fuertes para hoy jueves en Quintana Roo; el frente frío 2 interaccionará con la onda tropical 35 en la zona Sureste.
Pronóstico del clima para hoy por regiones
En el Valle de México se espera cielo medio nublado durante la mañana y nublado por la tarde-noche, descargas eléctricas y caída de granizo en zonas de lluvia, así como viento del norte de 15 a 30 km/h con rachas de hasta 45 km/h. En la Ciudad de México se pronostica temperatura mínima de 12 a 14 grados Celsius y máxima de 22 a 24 grados Celsius, y para Toluca, Estado de México, mínima de 7 a 9 grados Celsius y máxima de 20 a 22 grados Celsius.
Para los estados que comprenden el Pacífico Sur se prevé ambiente fresco y bancos de niebla matutinos en zonas serranas; por la tarde se estima ambiente de cálido a caluroso, cielo nublado, descargas eléctricas y posible caída de granizo en zonas de lluvia. También se espera viento del norte de 25 a 40 km/h, además de rachas de 60 a 70 km/h en el Istmo y Golfo de Tehuantepec, y oleaje de 1.5 a 2.5 m de altura en el Golfo de Tehuantepec.
En el Golfo de México se espera cielo nublado durante el día en el sur de la región, ambiente fresco y bancos de niebla por la mañana en zonas serranas y ambiente de cálido a caluroso por la tarde. Se podrían registrar descargas eléctricas en zonas de lluvia y viento de 15 a 30 km/h con rachas de componente norte de 50 a 60 km/h en la costa centro y sur de Veracruz, así como la posible formación de trombas marinas en la costa sur de Veracruz y en Tabasco.
Las condiciones meteorológicas para la Península de Yucatán serán de cielo nublado la mayor parte del día, ambiente templado por la mañana y caluroso durante la tarde, descargas eléctricas y caída de granizo en zonas de lluvia, y viento del este de 20 a 35 km/h, además de posibles trombas marinas en costas de Campeche.
PUEDES LEER:
