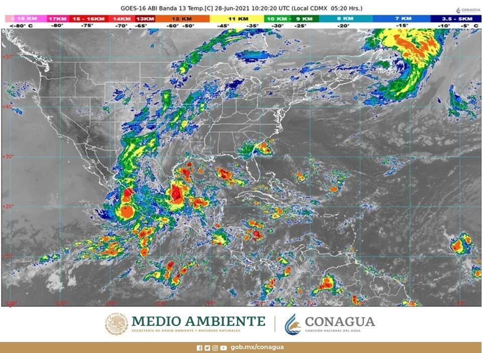
Clima: Cielo medio nublado y con posibilidad de lluvias en Quintana Roo. Para hoy, el centro del huracán «Enrique» categoría 1, con desplazamiento hacia el nor-noroeste, cerca de las costas de Jalisco, Nayarit y Sinaloa, la onda tropical No. 6 al sureste del país, el sistema frontal No. 60 (fuera de temporada) extendido en el norte de México y canales de baja presión en el interior del territorio además de la aproximación de una nueva onda tropical hacia la Península de Yucatán.
Estos sistemas producirán lluvias puntuales torrenciales en Sinaloa, Nayarit, Jalisco, Colima, Michoacán y Guerrero. Puntuales intensas en Chihuahua, Durango, Veracruz, Oaxaca y Chiapas y muy fuertes en Sonora, Puebla, Tabasco y Campeche.
Además de rachas de viento de 70 a 90 km/h y oleaje de 6 a 8 metros de altura en costas de Nayarit y Jalisco. Finalmente, se pronostican temperaturas máximas superiores a 40°C en zonas de Baja California y Sonora.
Intervalos de chubascos con lluvias puntuales fuertes (25.1 a 50.0 mm): Nuevo León, Tamaulipas, San Luis Potosí, Zacatecas, Guanajuato, Querétaro, Hidalgo, Morelos, Yucatán y Quintana Roo.

Clima: Cielo medio nublado y con posibilidad de lluvias en Quintana Roo; se acerca una nueva onda tropical a la Península de Yucatán.
Pronóstico del clima por regiones
Península de Yucatán: Cielo medio nublado a nublado con probabilidad de lluvias puntuales muy fuertes en Campeche, así como fuertes en Yucatán y Quintana Roo; todas con descargas eléctricas y posible caída de granizo. Ambiente fresco por la mañana y caluroso por la tarde. Viento del este de 20 a 30 km/h con rachas de hasta 50 km/h en costas de la región.
Pacífico Sur: Cielo nublado con lluvias puntuales torrenciales en Guerrero e intensas Chiapas y Oaxaca, todas con descargas eléctricas y posible caída de granizo. Ambiente fresco al amanecer y cálido por la tarde. Viento de dirección variable de 20 a 30 km/h con rachas de 50 a 60 km/h y oleaje de 2 a 4 metros de altura en la costa de Guerrero.
Golfo de México: Cielo nublado con lluvias puntuales intensas en Veracruz, muy fuertes en Tabasco y fuertes en Tamaulipas, todas con descargas eléctricas y posible caída de granizo en Tamaulipas, todas con actividad eléctrica y posible caída de granizo. Ambiente fresco por la mañana con bancos de niebla en zonas serranas y muy caluroso por la tarde en Tamaulipas. Viento del este y sureste de 20 a 30 km/h con rachas de 50 a 60 km/h en Tabasco y Tamaulipas.
Valle de México: Cielo nublado con lluvias persistentes, chubascos dispersos, actividad eléctrica y posible caída de granizo en la Ciudad de México y el Estado de México. Viento del sur y sureste de 10 a 20 km/h con rachas de hasta 40 km/h.
Ciudad de México: Se pronostica una temperatura mínima de 13 a 15°C y una máxima de 17 a 19°C. Para la capital del Estado de México, temperatura mínima de 8 a 10°C y máxima de 15 a 17°C.
¡Excelente inicio de semana! Inicia tu semana informado sobre las condiciones meteorológicas que prevalecerán hoy en #México. Reproduce el video #Pronóstico del #SMNmx 👇 ¡Que no te sorprendan las #Lluvias! pic.twitter.com/hxuHyc1Nug
— CONAGUA Clima (@conagua_clima) June 28, 2021
PUEDES LEER: Temporada de huracanes 2021 podría ser más intensa de lo ‘normal’
