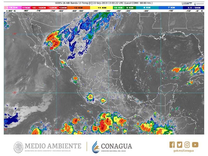
Clima: Se pronostican chubascos y actividad eléctrica en Quintana Roo; se mantiene un canal de baja presión sobre el oeste del mar Caribe frente a la porción oriental de la Península de Yucatán, y en su amplia circulación periférica impulsa aire marítimo tropical con variable contenido de humedad hacia la región.
Clima: Se pronostican chubascos y actividad eléctrica en Quintana Roo
Ello provoca temperaturas muy calurosas, nubosidad variable y lluvias dispersas con chubascos acompañados de actividad eléctrica ocasional, sobre algunas áreas de la Península de Yucatán y desde norte hasta el sur del estado de Quintana Roo, durante todo el periodo.
La onda tropical del mar Caribe, localizadas la No. 41 al sur de Guatemala y más al sur en el océano Pacifico, con desplazamiento al oeste suroeste, no presenta condiciones favorables de evolucionar en un sistema tropical, según información del Centro Nacional de Huracanes de Miami.

Clima: Se pronostican chubascos y actividad eléctrica en Quintana Roo; continúa la entrada de aire marítimo tropical por un canal de baja presión.
La tormenta tropical “Jerry”, en el océano Atlántico, se localizó a las 7:00 horas de hoy en las coordenadas 25.0° grados latitud norte y 66.9° longitud oeste, aproximadamente a 825 kms., al sur suroeste de Bermudas, se mueve al nor-noroeste (330° grados) a razón de 19 kph, con vientos máximos cerca del centro de 100 kph, por su lejanía y dirección de movimiento no representan ningún riesgo para las costas nacionales, se le da seguimiento.

Trayectoria de la tormenta tropical “Jerry”, en el océano Atlántico,
Clima probable para el estado de Quintana Roo
Cancún.- Medio nublado a nublado, con probabilidad de lluvias aisladas acompañadas de chubascos ocasionales además de actividad eléctrica, muy caluroso a bochornoso. Viento del este fijándose al noreste de 15 a 25 kph., con algunas rachas fuertes en áreas de tormenta.
Puerto Morelos.- Medio nublado a Nublado, con probabilidad de lluvias aisladas acompañadas de chubascos ocasionales además de actividad eléctrica, muy caluroso a bochornoso. Viento del este fijándose al noreste de 15 a 25 kph., con algunas rachas fuertes en áreas de tormenta.
Lázaro Cárdenas.- Medio nublado a nublado, con probabilidad de lluvias aisladas acompañadas de chubascos ocasionales además de actividad eléctrica, muy caluroso a bochornoso. Viento del este fijándose al noreste de 15 a 25 kph., con algunas rachas fuertes en áreas de tormenta.
Isla Mujeres.- Medio nublado a nublado, con probabilidad de lluvias aisladas acompañadas de chubascos ocasionales además de actividad eléctrica, muy caluroso a bochornoso. Viento del este fijándose al noreste de 15 a 25 kph., con algunas rachas fuertes en áreas de tormenta.
Cozumel.- Medio nublado a nublado, con probabilidad de lluvias aisladas acompañadas de chubascos ocasionales además de actividad eléctrica, muy caluroso a bochornoso. Viento del este fijándose al noreste de 15 a 25 kph., con algunas rachas fuertes en áreas de tormenta.
Solidaridad.- Medio nublado a nublado, con probabilidad de lluvias aisladas acompañadas de chubascos ocasionales además de actividad eléctrica, muy caluroso a bochornoso. Viento del este fijándose al noreste de 15 a 25 kph., con algunas rachas fuertes en áreas de tormenta.
Tulum.- Medio nublado a nublado, con probabilidad de lluvias aisladas acompañadas de chubascos ocasionales además de actividad eléctrica, muy caluroso a bochornoso. Viento del este fijándose al noreste de 15 a 25 kph., con algunas rachas fuertes en áreas de tormenta.
José María Morelos.- Medio nublado a nublado, con probabilidad de lluvias aisladas acompañadas de chubascos ocasionales además de actividad eléctrica, muy caluroso a bochornoso. Viento del este fijándose al noreste de 15 a 25 kph., con algunas rachas fuertes en áreas de tormenta.
Felipe Carrillo Puerto.- Medio nublado a nublado, con probabilidad de lluvias aisladas acompañadas de chubascos ocasionales además de actividad eléctrica, muy caluroso a bochornoso. Viento del este fijándose al noreste de 15 a 25 kph., con algunas rachas fuertes en áreas de tormenta.
Chetumal.- Medio nublado a nublado, con probabilidad de lluvias aisladas acompañadas de chubascos ocasionales además de actividad eléctrica, muy caluroso a bochornoso. Viento del este fijándose al noreste de 15 a 25 kph., con algunas rachas fuertes en áreas de tormenta.
Bacalar.- Medio Nublado a Nublado, con probabilidad de lluvias aisladas acompañadas de chubascos ocasionales además de actividad eléctrica, muy caluroso a bochornoso, Viento del este fijándose al noreste de 15 a 25 kph., con algunas rachas fuertes en áreas de tormenta.
Sensación térmica máxima para el día de hoy: 40ºC.
Temperatura máxima: 36 a 38°C
TAMBIÉN PUEDES LEER: