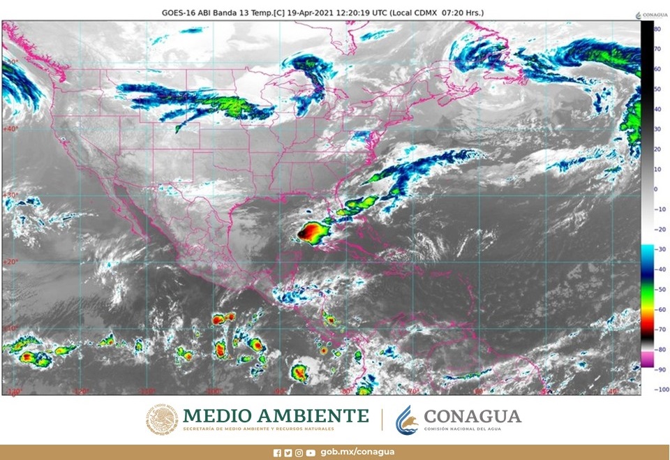
Pronóstico del clima para hoy lunes 19 de abril en Quintana Roo. Se mantiene la entrada de aire marítimo tropical con poco contenido de humedad procedente del mar Caribe hacia la Península de Yucatán, interaccionará con vaguada prefrontal localizada en superficie y se ubica sobre la Sonda de Campeche orientada norte-sur; generando temperaturas calurosas a muy calurosas, nubosidad variable, con probabilidad de lluvias, así como, nubes de tormenta acompañado de actividad eléctrica, viento cálido y arrachado del este variando al sureste, sobre la península de Yucatán y principalmente en municipios que se encuentren en la zona limítrofe con los estados de Yucatán y Campeche del estado de Quintana Roo, principalmente después de mediodía.
Frente Frío No.51, se localiza en superficie y se ubica sobre el norte y noreste de México, porción media del estado de Veracruz, México, porción norte del golfo de México, porción central de la península de Florida, y hasta la porción occidental del océano Atlántico del norte, presenta características de estacionario; generando descenso de temperaturas, nubosidad variable, así como, nubes de tormenta, con probabilidades de lluvias acompañadas de actividad eléctrica, viento frío y arrachado del norte y noroeste, por el momento no presenta influencia en las condiciones de la Península de Yucatán y del estado de Quintana Roo.
Tiempo probable para hoy en Quintana Roo
1.-BENITO JUÁREZ. – Cielo mayormente medio nublado a nublado, con lluvias ocasionales aisladas con probabilidad de algunos chubascos ocasionales, así como, actividad eléctrica, temperaturas calurosas a muy calurosas durante el día, viento de componente sureste de 15 a 25 kph., con rachas ocasionales más fuertes y en área de tormentas.
2.-PUERTO MORELOS. – Cielo mayormente medio nublado a nublado, con lluvias ocasionales aisladas con probabilidad de algunos chubascos ocasionales, así como, actividad eléctrica, temperaturas calurosas a muy calurosas durante el día, viento de componente sureste de 15 a 25 kph., con rachas ocasionales más fuertes y en área de tormentas.
3-LÁZARO CÁRDENAS. – Cielo mayormente medio nublado a nublado, con lluvias ocasionales aisladas con probabilidad de algunos chubascos ocasionales, así como, actividad eléctrica, temperaturas calurosas a muy calurosas durante el día, viento de componente sureste de 15 a 25 kph., con rachas ocasionales más fuertes y en área de tormentas.
4.-ISLA MUJERES. – Cielo mayormente medio nublado a nublado, con lluvias ocasionales aisladas con probabilidad de algunos chubascos ocasionales, así como, actividad eléctrica, temperaturas calurosas a muy calurosas durante el día, viento de componente sureste de 15 a 25 kph., con rachas ocasionales más fuertes y en área de tormentas.

Pronóstico del clima para hoy lunes 19 de abril en Quintana Roo; se prevén algunos chubascos y temperaturas muy calurosas.
5.- COZUMEL. – Cielo mayormente medio nublado a nublado, con lluvias ocasionales aisladas con probabilidad de algunos chubascos ocasionales, así como, actividad eléctrica, temperaturas calurosas a muy calurosas durante el día, viento de componente sureste de 15 a 25 kph., con rachas ocasionales más fuertes y en área de tormentas.
6.-SOLIDARIDAD. – Cielo mayormente medio nublado a nublado, con lluvias ocasionales aisladas con probabilidad de algunos chubascos ocasionales, así como, actividad eléctrica, temperaturas calurosas a muy calurosas durante el día, viento de componente sureste de 15 a 25 kph., con rachas ocasionales más fuertes y en área de tormentas.
7.-TULUM. – Cielo mayormente medio nublado a nublado, con lluvias ocasionales aisladas con probabilidad de algunos chubascos ocasionales, así como, actividad eléctrica, temperaturas calurosas a muy calurosas durante el día, viento de componente sureste de 15 a 25 kph., con rachas ocasionales más fuertes y en área de tormentas.
8.-JOSÉ MARÍA MORELOS. – Cielo mayormente medio nublado a nublado, con lluvias ocasionales aisladas con probabilidad de algunos chubascos ocasionales, así como, actividad eléctrica, temperaturas calurosas a muy calurosas durante el día, viento de componente sureste de 15 a 25 kph., con rachas ocasionales más fuertes y en área de tormentas.
9.-FELIPE CARRILLO PUERTO. – Cielo mayormente medio nublado a nublado, con lluvias ocasionales aisladas con probabilidad de algunos chubascos ocasionales, así como, actividad eléctrica, temperaturas calurosas a muy calurosas durante el día, viento de componente sureste de 15 a 25 kph., con rachas ocasionales más fuertes y en área de tormentas.
10.- OTHÓN P. BLANCO. – Cielo mayormente medio nublado a nublado, con lluvias ocasionales aisladas con probabilidad de algunos chubascos ocasionales, así como, actividad eléctrica, temperaturas calurosas a muy calurosas durante el día, viento de componente sureste de 15 a 25 kph., con rachas ocasionales más fuertes y en área de tormentas.
11.-BACALAR. – Cielo mayormente medio nublado a nublado, con lluvias ocasionales aisladas con probabilidad de algunos chubascos ocasionales, así como, actividad eléctrica, temperaturas calurosas a muy calurosas durante el día, viento de componente sureste de 15 a 25 kph., con rachas ocasionales más fuertes y en área de tormentas.
¡Excelente inicio de semana! Planea tu día y no olvides consultar el #Pronóstico del tiempo para conocer las condiciones #Meteorológicas que prevalecerán hoy en #México. Reproduce aquí 👇 el video del #SMNmx pic.twitter.com/TbquO9BHNH
— CONAGUA Clima (@conagua_clima) April 19, 2021