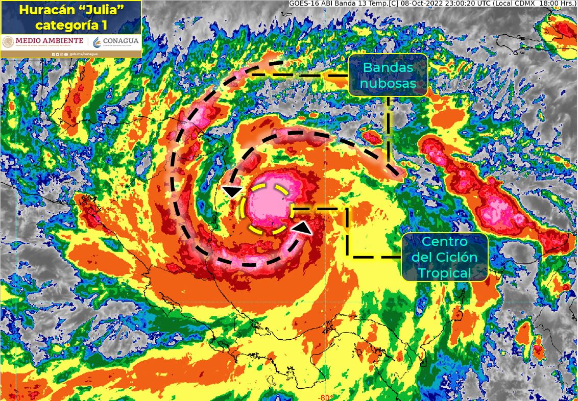
Hace unos minutos, la Coordinación Estatal de Protección Civil del estado de Quintana Roo ( Coeproc), emitió un aviso informando que «Julia» que se conservaba hasta hace unas horas como tormenta tropical, evolucionó ya a Huracán categoría uno en la escala Saffir-Simpson.
De acuerdo a la dependencia estatal, que remite informes del Servicio Meteorológico Nacional (SMN), «Julia» se ubica en el mar Caribe con vientos máximos de 120 kilómetros por hora y rachas de 150 kilómetros por hora.
Te Puede Interesar: Cambia de ruta tormenta ‘Julia’; iría hacía el océano Pacífico
El aviso de cambio de situación del ahora huracán «Julia», fue dispersado por el SMN en su último reporte de las 18:15 horas (seis de la cuarto de la tarde), y retomado por la Coeproc en Quintana Roo.
Actualmente, el desarrollo ciclónico se localiza 940 kilómetros al sureste de Quintana Roo, y se mantiene frente a las costas de Nicaragua, país que se prevé impacte durante las primeras horas del domingo nueve de octubre.
«Julia» mantiene una trayectoria con rumbo hacia el oeste, a una velocidad de 28 kilómetros por hora, de mantener esta trayectoria, dejaría al territorio nacional fuera de peligro, cruzando Nicaragua, El Salvador y desembocando finalmente en el Océano Pacífico.
Sin embargo, las autoridades de Quintana Roo, recomiendan mantenerse al pendiente, por cualquier posible cambio de trayectoria, informándose a través de medios oficiales y no haga caso a rumores.
«Julia» ya es huracán categoría uno
Con Información de SMN

